Μεξικό: Ξεκίνησε η επέλαση του κυκλώνα στις δυτικές ακτές - Οι αρχές προειδοποιούν για ισχυρές βροχές
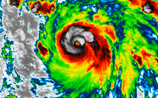
«Ο κυκλώνας Πρισίλα κατηγορίας 1 αναμένεται να γίνει κατηγορίας 2 μέσα στην εβδομάδα», σύμφωνα με ενημερωτικό δελτίου του NHC
«Ο κυκλώνας Πρισίλα κατηγορίας 1 αναμένεται να γίνει κατηγορίας 2 μέσα στην εβδομάδα», σύμφωνα με ενημερωτικό δελτίου του NHC
Οι ηγέτες των δύο χωρών δηλώνουν αποφασισμένοι να συνεργαστούν με τις ΗΠΑ, παρά τις απειλές Τραμπ για νέους δασμούς και αντίποινα, ενόψει της αναθεώρησης της συμφωνίας που θα γίνει το 2026
Ορισμένοι από τους τραυματίες απομακρύνθηκαν με ελικόπτερο ενώ εκατοντάδες διασώστες και στρατιωτικοί συμμετέχουν στην παροχή πρώτων βοηθειώ
Η έκρηξη σημειώθηκε σε ανισόπεδο κόμβο στην Ισταπαλάπα – 67 τραυματίες, πολλοί με σοβαρά εγκαύματα – Συγκλονίζουν τα πλάνα από τη στιγμή της έκρηξης
Η μεγαλύτερη κατάσχεση χημικών ουσιών από τις αμερικανικές αρχές, που αποδίδονται στο καρτέλ Σιναλόα - Κυρώσεις σε κινεζική εταιρεία και ποινικές διώξεις σε στελέχη της
Τα κεφάλια που βρέθηκαν στην Τλαξκάλα ανήκαν σε έξι άνδρες - Σημείωμα που βρέθηκε στον τόπο αφήνει να εννοηθεί ξεκαθάρισμα λογαριασμών αντίπαλων συμμοριών
Το εστιακό βάθος της δόνησης εντοπίσθηκε σε βάθος 10 χιλιομέτρων
Ο Τραμπ διευκρίνισε ότι εξακολουθούν να ισχύουν οι δασμοί
Ήδη τσουνάμι ύψους 3 ως 4 μέτρων καταγράφτηκε σε τομείς της περιφέρειας, σύμφωνα με παράρτημα του ρωσικού υπουργείου Αντιμετώπισης εκτάκτων καταστάσεων
Η μεξικανική πλευρά κατήγγειλε αμέσως τον «άδικο» δασμό που θα αποβεί «σε βάρος των μεξικανών παραγωγών καθώς και της αμερικανικής βιομηχανίας»
Η απόφαση θεωρείται ιδιαίτερα κρίσιμη, δεδομένου ότι η Ένωση αποτελεί τον μεγαλύτερο εμπορικό και επενδυτικό εταίρο των ΗΠΑ
Ο «γάμος» είναι μια παράδοση 230 ετών και συμβολίζει την ένωση των δύο ιθαγενών πολιτισμών
Σύμφωνα με την πιο πρόσφατη ανακοίνωση του Εθνικού Κέντρου Τυφώνων των ΗΠΑ (NHC), ο τυφώνας Έρικ εξασθένησε στη διάρκεια της νύκτας
Αναμένεται να φτάσει στη χώρα τη νύκτα της Τετάρτης προς Πέμπτη
Με φόντο τη βία που σημειώνεται στις διαδηλώσεις του Λος Άντζελες
Από την ημέρα που ανέλαβε πρόεδρος ο Τραμπ, όπως είπε η Μεξικανή ομόλογός του
Το συμβάν έγινε στη Γουαναχουάτο, την πολιτεία την οποία πλήττει περισσότερο από οποιαδήποτε άλλη το κύμα βίας που συνεχίζει να σαρώνει τη χώρα
Η μεξικανική αυτοκινητοβιομηχανία εξάγει σχεδόν 3 εκατ. οχήματα ετησίως στις ΗΠΑ
Ο Γκονσάλες Χερέρα, που ήταν γνωστός με το ψευδώνυμο "Fénix", είχε δεχθεί πυρά και τραυματιστεί από σφαίρα σε παρόμοιες συνθήκες
Η Βαλέρια Μάρκες δεν είχε καταγγείλει ποτέ πως είχε δεχτεί οποιαδήποτε απειλή, σύμφωνα με τον δήμαρχο της Σαπόπαν
Τα αιματηρά τροχαία έχουν πολλαπλασιαστεί στο Μεξικό τα τελευταία χρόνια
Το εστιακό βάθος του σεισμού ήταν 269 χιλιόμετρα, ανέφερε το GFZ
To μέτρο θα τεθεί σε εφαρμογή από τα μέσα Ιουλίου
«Θα συνεχίσουμε να κλιμακώνουμε τις συνέπειες» ανέφερε μεταξύ άλλων ο Αμερικανός πρόεδρος Ντόναλντ Τραμπ - Τι ανέφερε